
Les travaux à l’intersection de la route 138, de la route de Fossambault et de la rue Jean-Juneau commenceront le 1er juillet (phase 1 – voir ci-dessous).
Toute l’information (déroulement, entraves, détours, etc.) est disponible sur le site web de la ville à l’adresse: vsad.ca/138. Pour être informés en direct, abonnez-vous aux alertes citoyennes: citoyen.vsad.ca.
En quoi consiste le projet ?
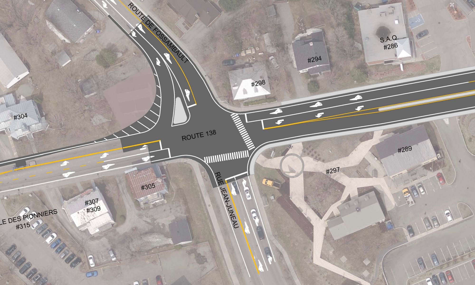
L’intersection de la route 138 / route de Fossambault / rue Jean-Juneau est dans un secteur névralgique.
L’objectif des travaux est double:
- Améliorer la fluidité de la circulation vers et depuis le village;
- Réduire le nombre d’accidents, particulièrement nombreux dans cette zone, la plus accidentogène du territoire augustinois.
Sur quoi reposent les décisions?
La firme d’ingénierie mandatée a mené des études : relevés de terrain, comptages de véhicules, modélisations de scénarios, simulations de feux intelligents, etc. Leurs recommandations tiennent compte à la fois des besoins identifiés et des contraintes majeures du secteur.
Quelles sont les contraintes?
- La possibilité de créer des voies de contournement par les terres agricoles a été explorée, mais est bloquée par des instances supérieures (CPTAQ, communauté métropolitaine, agglomération);
- Des élargissements de plus grande envergure nécessiteraient des expropriations importantes (résidences, commerces), ce qui aurait un coût social et financier très élevé;
- Les réseaux d’Hydro-Québec et de télécommunication en bordure sont très coûteux à déplacer.
Quelles sont les interventions?

- Une bretelle permettant la sortie vers la route 138 Ouest sera ajoutée sur la route de Fossambault (phase 1);
- Les voies de virage à gauche (à l’intersection) seront prolongées (phases 1 et 2);
- De nouveaux feux de circulation adaptatifs qui analysent la densité des files pour ajuster les cycles seront installées (phase 1);
- En direction Est, un îlot central empêchera le virage à gauche au Carrefour St-Augustin (Métro/SAQ); il faudra utiliser l’entrée du centre commercial située sur la route de Fossambault lorsque l’on arrive de l’ouest de l’intersection ou de la rue Jean-Juneau (phase 2);
- Le trottoir devant le Carrefour St-Augustin (Métro/SAQ) sera prolongé jusqu’à la rue de la Valériane (phase 2);
- L’éclairage sera mis à niveau (phase 2);
- Le pavage et le marquage seront refaits (phase 3).
Pourquoi empêcher le virage à gauche au centre commercial?
L’aménagement du terre-plein aura pour effet de restreindre les manœuvres qui nuisent à la fluidité et qui augmentent les risques de collision. Pour donner un exemple : le virage à gauche vers le stationnement du Métro, en provenance de l’ouest, crée des ralentissements chaque fois qu’un véhicule attend, ce qui bloque tout le flux en arrière. Le terre-plein viendra donc forcer les automobilistes à faire un détour plus sécuritaire, tout en améliorant le flot principal.
Quel est le coût du projet ?
Le contrat a été octroyé à Maxi Paysage inc. pour un montant de 3,1 M$. À noter que pour ce projet, la Ville recevra une aide financière de 2 M$ du ministère des Transports et de la Mobilité durable.
En conclusion…
Étant donné les contraintes, il ne faut pas s’attendre à une transformation totale, mais le but est de faire mieux avec les moyens disponibles. Le modèle développé par la firme d’ingénierie indique que ces améliorations devraient permettre une meilleure fluidité et surtout, réduire les accidents. Rappelons que ce chantier est une opportunité de réaliser plusieurs travaux de toute façon nécessaires — comme le repavage, le prolongement du trottoir jusqu’à la rue de la Valérianne (côté nord), le remplacement des feux de circulation et l’amélioration de l’éclairage — à un coût avantageux rendu possible grâce à la subvention provinciale.

